Obsah
Lidé pěstují hrozny od nepaměti. Klima na Zemi se měnilo a spolu s ním se měnily i hrozny. S rozvojem genetiky se otevřely úžasné možnosti pro vytváření odrůd a hybridů s předem stanovenými vlastnostmi. Nové položky se objevují každoročně. Jedním z nich je hroznový Akademik, popis této odrůdy bude uveden níže.
Popis a vlastnosti:
Rodiče odrůdy Akademik, která má i jiná jména - Akademik Avidzba a Pamyati Dzheneyev, jsou hybridní formy: Gift to Zaporozhye a Richelieu. Tato odrůda stolního hroznu je výsledkem výběru zaměstnanců Institutu vinařství a vinařství „Magarach“, který se nachází na Krymu. Odrůda byla vytvořena poměrně nedávno, ještě není rozšířená kvůli malému množství rostlinného materiálu. Můžete si je koupit pouze přímo v ústavu a v některých soukromých školkách. Ale recenze těch, kteří měli to štěstí, aby to zasadili a vyzkoušeli, jsou prostě nadšení. Odrůda Akademik byla uvedena do Státního registru šlechtitelských úspěchů v roce 2014 a je doporučována pro pěstování v oblasti severního Kavkazu, ale s vysoce kvalitním přístřeškem může růst dále na sever.
Odrůdové vlastnosti:
- odrůda Akademik má rané období zrání, první bobule lze ochutnat po 115 dnech;
- součet aktivních teplot pro jeho zrání je 2100 stupňů, což umožňuje jeho pěstování nejen na jihu, ale také ve středním Rusku;
- mrazuvzdornost odrůdy je stejná jako odolnost rodičů - od -23 do -25 stupňů umožňuje, aby hrozny Akademik zimovaly pod sněhem i ve středním Rusku s dobrým přístřeškem;
- odrůda Akademik má velkou sílu;
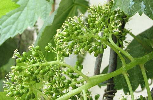
- jeho listy jsou střední nebo velké, silně členité a sestávají z 5 laloků;
- přední strana listu je hladká, z vnitřní strany je mírné dospívání;
- květy odrůdy Akademik jsou bisexuální, proto nepotřebuje opylovače.
Vlastnosti bobulí:
-
bobule odrůdy Akademik se shromažďují ve velkých shlucích, které mají válcovitý kuželovitý tvar;
- jejich hmotnost je od 1,5 do 1,8 kg;
- hrozen Akademik má průměrnou hustotu, někdy je sypký;
- bobule je velká, dosahuje velikosti 33 mm na délku a 20 mm na šířku;
- tvar bobule je podlouhlý-oválný, s tupým hrotem;
- barva ovoce hroznů Akademik je tmavě modrá s nápadným květem švestek. Pruin, to znamená voskový povlak, pomáhá bobulím chránit se před patogeny a atmosférickými jevy. Bobule s výrazným květem švestek se lépe přepravují a skladují.
- kůže je hustá, díky čemuž je přeprava bobulí úspěšná;
- Akademik hrozny jsou stolní hrozny, je to kvůli nejvyšší kvalitě bobulí - chuť křupavé dužiny se odhaduje na 9,8 bodů z 10. Vyznačuje se muškátovou příchutí s tóny třešní a originální čokoládovou dochuťou. Akumulace cukru je vysoká.
V tuto chvíli je tato odrůda testována, ale již je jasné, že její pěstování v průmyslovém měřítku je ziskové. Bude to také užitečné v soukromých zahradách - nejvyšší kvalita bobulí nenechá nikoho lhostejným. Pro úplnost popisu a charakteristik je třeba říci, že odolnost vůči hlavním chorobám: padlí a padlí v odrůdě Akademik jsou průměrné. Bude vyžadováno preventivní preventivní ošetření.
Jak růst
Hrozny jsou podle biologických vlastností určeny k pěstování v subtropickém a mírném podnebí. Ve všech ostatních regionech závisí jeho přežití a výnos pouze na úsilí a dovednostech pěstitele. A hlavní věcí v tomto je dodržování správné zemědělské technologie s přihlédnutím ke všem požadavkům závodu.
Výběr sedadla
Na jihu rostou hrozny při vysokých teplotách, někdy nad 40 stupňů, zatímco optimální teplota pro ně je považována za 28-30 stupňů. Za těchto podmínek je stínování hroznů velmi žádoucí. V oblastech na severu, u hroznů Akademik, musíte zvolit místa, která jsou celý den osvětlena sluncem.
Je důležité, aby réva byla chráněna před převládajícími větry. Zkušení pěstitelé to berou v úvahu při výběru místa pro rostlinu:
- výsadba hroznů na jižní straně budov;
- na severní straně výsadby jsou vysazeny vysoké stromy nebo živé ploty;
- stavět ploty nebo uspořádat obrazovky rákosu a jiných materiálů po ruce.
K čemu to je? Za takových podmínek bude teplota vzduchu a půdy, kde keř roste, vyšší.
Co je SAT
Aby hrozny nashromáždily správné množství cukru a bobule plně dozrály, jisté součet aktivních teplot... Hrozny začínají růst při teplotě půdy v kořenové zóně nejméně 10 stupňů. Teplota vzduchu nad + 10 stupňů je považována za aktivní. Pokud sečteme všechny hodnoty průměrných denních teplot, které nejsou nižší než tento indikátor, počínaje vegetačním okamžikem a dokud bobule nejsou plně zralé, dostaneme požadovaný součet aktivních teplot. Každá odrůda má svou vlastní. V popisu odrůdy Akademik je uveden součet aktivních teplot 2100 stupňů. Toto je průměrná hodnota na zeměpisné šířce města Moskva. Ale léto není vždy teplé, v některých letech se tato odrůda nemusí plně ukázat, čeho je schopna.
Pro zvýšení CAT používají pěstitelé různé triky:
- pěstování hroznů z jihu nebo jihozápadu budov, aby se udrželo déle teplo;
- chránit před studeným větrem, který fouká ze severu;
- pokryjte půdu kolem kmene tmavým materiálem - hnůj nebo černý spunbond, vhodné jsou také tmavé kameny;
- používat reflexní síta z fólie nebo bílé polyetylenové fólie;
- na průchodku namontujte průsvitný štít ve tvaru písmene "g";
- výsadba hroznů ve skleníku.
Přistání
Pohodlná existence hroznů Akademik do značné míry závisí na tom, jaký způsob výsadby bude zvolen. Může být vysazen jak na jaře, tak na podzim. Je lepší zvolit si semenáček v nádobě, pak bude jeho míra přežití stoprocentní, pokud bude správně zasazena.
Algoritmus přistání:
- Vykopeme otvor, jehož průměr by měl odpovídat průměru kořenového systému hroznů Akademik,
- zatímco odkládáme horní úrodnou půdní vrstvu stranou;
- smícháme to s humusem a plným minerálním hnojivem;
- na dně jámy zajistíme odvodnění ze štěrku a malých větviček;
- zpevňujeme trubku z azbestocementu nebo plastu určenou k aplikaci kapalných hnojiv;
- umístíme sazenici do díry, naplníme ji úrodnou hliněnou směsí a zalejeme;
-
odřízněte výhonky hroznů a ponecháte pouze 2 pupeny. Aby nedošlo k vyschnutí řezu, je ošetřen roztaveným parafínem.
- mulčujte otvor humusem nebo kompostem.
Při výsadbě několika hroznových keřů Akademik musíte mezi nimi ponechat vzdálenost 1,5 m nebo více, aby každá réva měla dostatečnou krmnou plochu. Pokud je položena plnohodnotná vinice, musí být řádky orientovány od jihu k severu, aby byly lépe osvětleny sluncem.
Péče o vinice
Nově zasazené keře hroznů Akademik vyžadují neúnavnou péči pěstitele a nelze ignorovat ani zralé keře této odrůdy.
Zalévání
Hrozny odrůdy Akademik patří ke stolním odrůdám, takže je třeba je na rozdíl od technických odrůd pravidelně zalévat.
-
První zalévání se provádí po konečném otevření keřů a podvazku vinné révy na mříži. Dospělý keř potřebuje až 4 kbelíky teplé vody, do kterých se přidá půllitrová plechovka popelníku. Je velmi dobré, pokud je vedle keře instalováno hnojivo a zavlažovací potrubí, pak veškerá voda půjde přímo ke kořenům paty.
- Další zálivka bude pro révu nutná jeden týden před kvetením. Během kvetení by hrozny neměly být napojeny - kvůli tomu se mohou rozpadat květiny, bobule nikdy nenarostou na požadovanou velikost - to znamená, že bude pozorován hrášek.
-
Další zalévání se provádí na konci kvetení.
- Jakmile bobule začnou zbarvovat, keře nelze zalévat, jinak hrozny jednoduše nezachytí požadované množství cukru.
- Poslední zalévání je nabíjení vodou, provádí se týden před konečným úkrytem keřů na zimu.
Top dressing
Hrozny Akademik dobře reagují na kořenové i listové krmení. Jak krmit:
- první krmení se provádí okamžitě po odstranění zimního úkrytu; každé pouzdro bude vyžadovat 20 g superfosfátu, 10 g dusičnanu amonného a 5 g draselné soli, to vše se rozpustí v 10 litrech vody;
- 2 týdny před kvetením se hnojení opakuje;
-
než hrozny začnou zrát, musí být oplodněny superfosfátem a draselnou solí;
- po sklizni se aplikují potašová hnojiva - zvyšují zimní odolnost keřů.
Každé tři roky na podzim se vinice hnojí hnojem a současně se přidává popel, superfosfát a síran amonný. Hnojiva se při kopání používají za sucha. Pokud je půda písčitá hlína, kopání by se mělo provádět častěji a na písku - každý rok.
První listové krmení roztokem komplexního minerálního hnojiva s mikroelementy se provádí před kvetením. Druhý - když keře vybledly, ve třetím během zrání bobulí. Poslední dva obvazy by neměly obsahovat dusík.
Formace
Bez formování získáme vysoké vinice naložené nevlastními dětmi, ale s malým počtem shluků na keři. Jelikož náš úkol je opačný, vytvoříme hroznový keř Akademik podle všech pravidel. Pokud v oblasti bydliště nejsou žádné mrazivé zimy, můžete na vysokém kmeni vytvořit keř. Hrozny odrůdy Akademik se nevyznačují vysokou mrazuvzdorností, proto se v severních oblastech pěstuje v kultuře bez standardu. Veškeré prořezávání se provádí pouze na podzim, na jaře lze provést před začátkem toku mízy.
- jarní prořezávání - revize, musíte odstranit slabé výhonky a vytvarovat stonku rukávu, na kterém pak vyroste réva, která dává plody;
- v červnu se rostlina konečně vytvoří - nad každým kartáčem zbývá asi 5 listů, přitiskněte horní část výhonku;
-
regulujte zatížení keře - v závislosti na síle růstu zůstávají na výhonku jeden nebo dva kartáče, bobule v této době dosahují velikosti hrášku, odstraňte další kartáče;
- provádí se ražba - na každém výhonku listy od 13 do 15 listů, špetka vrcholu;
- celé léto odstranit zbytečné nevlastní synové;
- asi 20 dní před sklizní jsou keře ztenčeny, přičemž jsou odstraněny listy v jejich spodní části a ty, které narušují zrání svazků a uzavírají je před sluncem;
-
podzimní prořezávání se provádí po pádu listů při teplotách blízkých nule, odstraňte všechny nezralé výhonky, slabé, odstraňte všechny nelétající listy.
Příprava na zimu
Odrůda Akademik má průměrnou mrazuvzdornost, proto ve většině regionů potřebuje na zimu přístřeší. Révy musí být odstraněny z mřížoví, pečlivě svázány do svazků a pokryty zeminou nebo rašelinou. Můžete uspořádat přístřešek pro suchý vzduch: zabalte svazky vinné révy několika vrstvami spandbondu a poté položte nízké oblouky a zakryjte je fólií. Malé ventilační otvory by v něm měly být ponechány zespodu pro ventilaci.
Více informací o neobvyklém způsobu skrývání hroznů je popsáno ve videu:
Ohlasy
Závěr
Nová hodná odrůda - Akademik potěší nejen amatérské vinaře, lze ji použít k průmyslovému pěstování.













